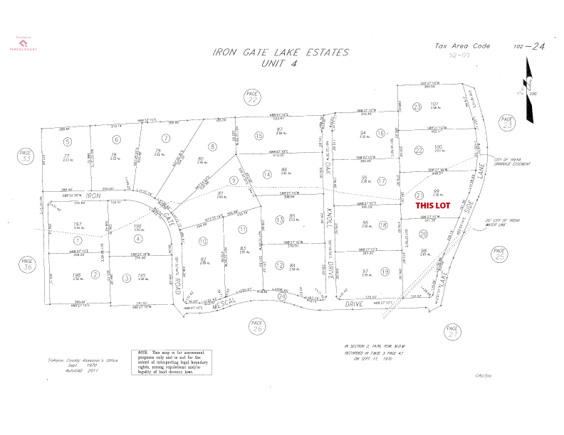
Unit 4 Lot 99 Iron Gate Lake Estates, Hornbrook, CA in Siskiyou County
SOLD
2.5 acres · no HOA · grower’s dream · seller will finance
This lovely lot in Iron Gate Estates is waiting for your agricultural project. A drainage easement runs through the property, but you can call it a seasonal creek or your own personal irrigation canal. Some photos are of the neighbors’ use of the canal. They have a pump in it to irrigate their freshly-tilled land. Many interesting neighbors. For drinking water you can dig a well or purchase local spring water from one of the neighbors for 10 cents a gallon. So many possibilities for this land!
Seller will finance with $4500 down.
CLICK HERE TO LEARN MORE.
All Photos and Content Copyright Olympus Lands, 2007-2021.
